|
手机版
|
无障碍
|
关怀版

正宁县人民政府

科技局政府信息公开

全文检索
索引号: 3070211020000013000000/2025081100000012 发布机构:
生效日期: 2025-08-11 废止日期:
文 号: 所属主题: 规划信息

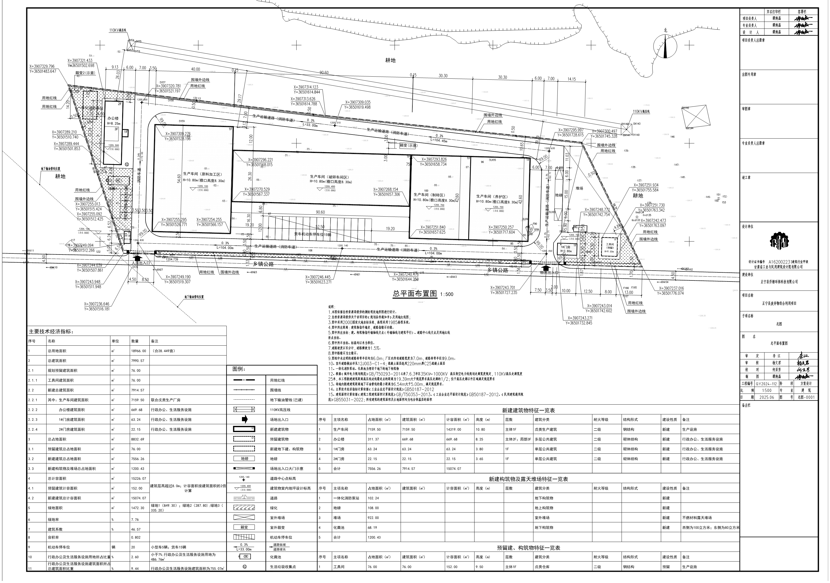
正宁县废弃物综合利用项目报规总图7.10(2)

来源: 发布时间:2025-08-11 浏览次数: 【字体:

【打印正文】
分享到:
【字体: